Help shape the future of Santa Barbara's Waterfront! Respond to our survey at SantaBarbaraCA.gov/WaterfrontSurvey.
¡Ayúdanos a dar forma al futuro de la zona costera de Santa Bárbara! Responde a nuestra encuesta en SantaBarbaraCA.gov/WaterfrontSurvey.

18380
Title

Media Releases

Body
Sections
Filter Results
Las Alturas Road - Looking North
Las Alturas Road Lane Closure in Effect Starting Friday May 10
Starting Friday, May 10, Las Alturas Road between 1105 Las Alturas and Terrace Road (map) will be reduced to one lane for alternating traffic. The southbound lane closure is a preventative measure to protect the road and public utilities…
People visit the sheep at Mission Historical Park
Grazing Sheep Return to Santa Barbara Parks Ahead of Wildfire Season
The City of Santa Barbara’s Parks and Recreation and Fire Departments are deploying a herd of sheep to graze approximately 15 acres of open space across four City park properties. The work aims to remove overgrown grass and brush ahead of…
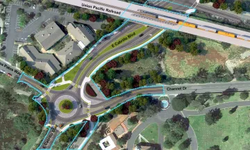
Olive Mill Road Roundabout
City of Santa Barbara Completes Olive Mill Roundabout
The City of Santa Barbara is pleased to announce the completion of the Olive Mill Roundabout Project (Roundabout). The Roundabout was a multi-agency partnership between the City of Santa Barbara, County of Santa Barbara, Santa Barbara…
Overhead view of the Nautical Swap Meet showing boats, fishing gear and water sports gear.
Harbor Nautical Swap Meet May 18
Calling all treasure hunters! The City of Santa Barbara Waterfront Department invites you to attend the 13th annual Harbor Nautical Swap Meet on Saturday, May 18 in the Main Harbor Parking Lot from 8 a.m. to noon. Dozens of vendors will…
CycleMAYnia logo, City of Santa Barbara Seal, MOVE Santa Barbara County logo, and Santa Barbara County Association of Governments logo.
CycleMAYnia! E-Bike Skills Class and Ride at De La Guerra Plaza May 18
The City of Santa Barbara and MOVE Santa Barbara County invite the public to attend CycleMAYnia at De La Guerra Plaza on Saturday, May 18 from 9:00 a.m. to 1:00 p.m. This event includes safety checks for participant’s e-bikes, a skills…
Main Break Repair
City of Santa Barbara Proposes Annual Rate Adjustments to Support and Maintain Critical Water and Wastewater Systems
The City of Santa Barbara has proposed rate adjustments to water and wastewater rates that will affect customers’ utility bills over the next four fiscal years. These recommendations are based on the cost to provide water and wastewater…
Swim instructor guides a young swimmer as they learn to kick
City Offering Low-Cost Youth Swim Lessons and Water Safety Programs
May is National Water Safety Month, an annual observance aimed at preventing drowning incidents and keeping individuals safe in and around water. According to the Centers for Disease Control and Prevention (CDC), drowning is the leading…
Loma Alta repopening from  Coronel Street to West Canon Perdido Street to vehicular traffic
Loma Alta Drive Reopening to Vehicular Traffic May 10th
The City of Santa Barbara Public Works Department is reopening Loma Alta Drive from Coronel Street to West Canon Perdido Street to vehicular traffic on Friday, May 10th. Loma Alta Drive may be closed periodically in the future in…
City seal
Tax Results for the City of Santa Barbara
Transient Occupancy Tax Results for the City of Santa Barbara – March 2024The City of Santa Barbara collected $2.3 Million in Transient Occupancy Taxes (TOT) for March 2024, the ninth month in the City’s fiscal year. Year to date, the…
Franceschi Park Aerial View
Public Workshop to Review Concept Designs for Site of Franceschi House
The City of Santa Barbara Parks and Recreation Department is seeking public input for a future project at the site of Franceschi House within Franceschi Park. After multiple attempts to restore the building since 1971, the City Council…
Total results: 768 77